| [home] | ||||||||||||||||||||||||||||||||||||||||||||||||||||||||||||||||||||||||||||||||||||||||||||||||
| ■異臭を放す チョウセンマメハンミョウ Epicauta chinensis 【ツチハンミョウ科】 | ||||||||||||||||||||||||||||||||||||||||||||||||||||||||||||||||||||||||||||||||||||||||||||||||
| ツチハンミョウ科に属し,日本では対馬だけに見られる大陸系の昆虫です。 対馬産は亜種 ssp.taishoensis で複眼の赤い部分が特徴となっています。 基亜種がどんな感じなのかネットで検索してみましたが分かりませんでした。 ただ,(→) 「韓国産らしきサイト」は見つかりました。 ここに掲載されている個体は,上翅の縁に白い縁毛?らしきものを備えているので,一見して対馬産とは区別が付きます。 対馬産は一様に黒色です。 ただ,対馬産と同じ亜種名を使用しているので???です。 現在の対馬産と朝鮮半島産との亜種関係はどうなっているのでしょう。 なお雌雄の区別は,♂の触角が第5〜7節が太くなることで区別は容易です。 |
||||||||||||||||||||||||||||||||||||||||||||||||||||||||||||||||||||||||||||||||||||||||||||||||
|
||||||||||||||||||||||||||||||||||||||||||||||||||||||||||||||||||||||||||||||||||||||||||||||||
|
|
||||||||||||||||||||||||||||||||||||||||||||||||||||||||||||||||||||||||||||||||||||||||||||||||
| ■資料画像・画像 | ||||||||||||||||||||||||||||||||||||||||||||||||||||||||||||||||||||||||||||||||||||||||||||||||
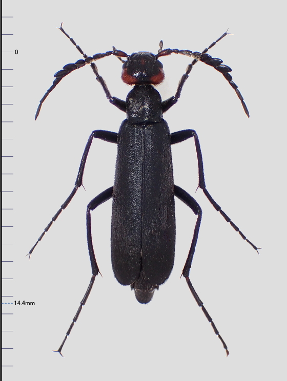
| ▲チョウセンマメハンミョウ Epicauta chinensis taishoensis Lewis, 1879 2021.04.24 対馬市厳原町 | ||||||||||||||||||||||||||||||||||||||||||||||||||||||||||||||||||||||||||||||||||||||||||||||||
| 右動画・・・この体型のチョウセンマメハンミョウが飛ぶのを見たときは驚きました。 画質は酷いのですが,証拠動画です。 | ||||||||||||||||||||||||||||||||||||||||||||||||||||||||||||||||||||||||||||||||||||||||||||||||
| ▲クズの葉をかじるチョウセンマメハンミョウ 2021.04.29 対馬市厳原町 | ▲飛翔するチョウセンマメハンミョウ 2010.06.07 対馬市豊玉町 | |||||||||||||||||||||||||||||||||||||||||||||||||||||||||||||||||||||||||||||||||||||||||||||||
![]() |
||||||||||||||||||||||||||||||||||||||||||||||||||||||||||||||||||||||||||||||||||||||||||||||||
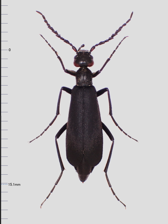
| ▲チョウセンマメハンミョウ Epicauta chinensis taishoensis Lewis, 1879 2016.06.08 対馬市上県町 | ||||||||||||||||||||||||||||||||||||||||||||||||||||||||||||||||||||||||||||||||||||||||||||||||
![]() |
![]() |
|||||||||||||||||||||||||||||||||||||||||||||||||||||||||||||||||||||||||||||||||||||||||||||||
| ▲チョウセンマメハンミョウ 2016.06.08 対馬市上県町 | ▲チョウセンマメハンミョウ 2016.06.08 対馬市上県町 | |||||||||||||||||||||||||||||||||||||||||||||||||||||||||||||||||||||||||||||||||||||||||||||||
![]() |
![]() |
|||||||||||||||||||||||||||||||||||||||||||||||||||||||||||||||||||||||||||||||||||||||||||||||
| ▲チョウセンマメハンミョウ 2021.05.08 対馬市厳原町 | ▲チョウセンマメハンミョウ 2021.05.08 対馬市厳原町 | |||||||||||||||||||||||||||||||||||||||||||||||||||||||||||||||||||||||||||||||||||||||||||||||
![]() |
![]() |
|||||||||||||||||||||||||||||||||||||||||||||||||||||||||||||||||||||||||||||||||||||||||||||||
| ▲チョウセンマメハンミョウ 2021.04.09 対馬市厳原町 | ▲チョウセンマメハンミョウ 2021.04.24 対馬市厳原町 | |||||||||||||||||||||||||||||||||||||||||||||||||||||||||||||||||||||||||||||||||||||||||||||||
![]() |
||||||||||||||||||||||||||||||||||||||||||||||||||||||||||||||||||||||||||||||||||||||||||||||||
| ▲チョウセンマメハンミョウ Epicauta chinensis taishoensis Lewis, 1879 2021.04.24 対馬市厳原町 | ||||||||||||||||||||||||||||||||||||||||||||||||||||||||||||||||||||||||||||||||||||||||||||||||
![]() |
||||||||||||||||||||||||||||||||||||||||||||||||||||||||||||||||||||||||||||||||||||||||||||||||
| ▲チョウセンマメハンミョウ Epicauta chinensis taishoensis Lewis, 1879 2024年5が羽10日 対馬市厳原町 | ||||||||||||||||||||||||||||||||||||||||||||||||||||||||||||||||||||||||||||||||||||||||||||||||
![]() |
![]() |
|||||||||||||||||||||||||||||||||||||||||||||||||||||||||||||||||||||||||||||||||||||||||||||||
| ▲チョウセンマメハンミョウ 2021.04.24 対馬市厳原町 | ▲チョウセンマメハンミョウ 2021.04.24 対馬市厳原町 | |||||||||||||||||||||||||||||||||||||||||||||||||||||||||||||||||||||||||||||||||||||||||||||||
![]() |
![]() |
|||||||||||||||||||||||||||||||||||||||||||||||||||||||||||||||||||||||||||||||||||||||||||||||
| ▲チョウセンマメハンミョウ 2018.05.20 対馬市豊玉町 | ▲チョウセンマメハンミョウ 2018.05.20 対馬市豊玉町 | |||||||||||||||||||||||||||||||||||||||||||||||||||||||||||||||||||||||||||||||||||||||||||||||
![]() |
![]() |
|||||||||||||||||||||||||||||||||||||||||||||||||||||||||||||||||||||||||||||||||||||||||||||||
| チョウセンマメハンミョウ 2022.05.15 対馬市厳原町 | チョウセンマメハンミョウ 2022.05.15 対馬市厳原町 | |||||||||||||||||||||||||||||||||||||||||||||||||||||||||||||||||||||||||||||||||||||||||||||||
![]() |
![]() |
|||||||||||||||||||||||||||||||||||||||||||||||||||||||||||||||||||||||||||||||||||||||||||||||
| チョウセンマメハンミョウ 2022.05.15 対馬市厳原町 | チョウセンマメハンミョウ 2022.05.15 対馬市厳原町 | |||||||||||||||||||||||||||||||||||||||||||||||||||||||||||||||||||||||||||||||||||||||||||||||
![]() |
![]() |
|||||||||||||||||||||||||||||||||||||||||||||||||||||||||||||||||||||||||||||||||||||||||||||||
| チョウセンマメハンミョウ 2023.05.26 対馬市厳原町 | チョウセンマメハンミョウ 2023.05.26 対馬市厳原町 | |||||||||||||||||||||||||||||||||||||||||||||||||||||||||||||||||||||||||||||||||||||||||||||||
![]() |
![]() |
|||||||||||||||||||||||||||||||||||||||||||||||||||||||||||||||||||||||||||||||||||||||||||||||
| チョウセンマメハンミョウ 2023.05.26 対馬市厳原町 | チョウセンマメハンミョウ 2023.05.26 対馬市厳原町 | |||||||||||||||||||||||||||||||||||||||||||||||||||||||||||||||||||||||||||||||||||||||||||||||
![]() |
![]() |
|||||||||||||||||||||||||||||||||||||||||||||||||||||||||||||||||||||||||||||||||||||||||||||||
| ▲チョウセンマメハンミョウ♂ 2025年6月18日 対馬市厳原町産 | ▲チョウセンマメハンミョウ♂ 2025年6月15日 対馬市厳原町産 | |||||||||||||||||||||||||||||||||||||||||||||||||||||||||||||||||||||||||||||||||||||||||||||||
![]() |
![]() |
|||||||||||||||||||||||||||||||||||||||||||||||||||||||||||||||||||||||||||||||||||||||||||||||
| ▲チョウセンマメハンミョウ♂ 2025年6月4日 対馬市厳原町産 | ▲チョウセンマメハンミョウ♂ 2010.06.05 対馬市豊玉町産 | |||||||||||||||||||||||||||||||||||||||||||||||||||||||||||||||||||||||||||||||||||||||||||||||