|
|
|
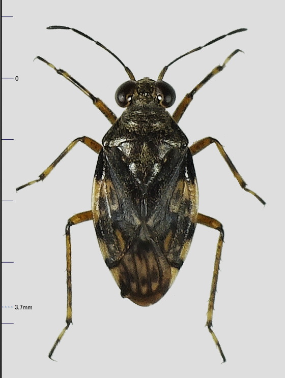
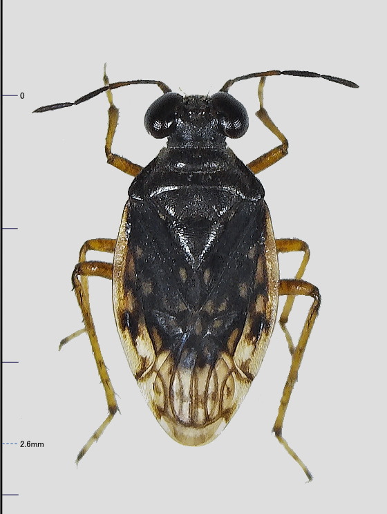
| ■2023年3月18日 対馬市厳原町 |
|
|
| 対馬のこの属は交尾器を確認してみると複数種が生息しているようです。 |
 |
|
 |
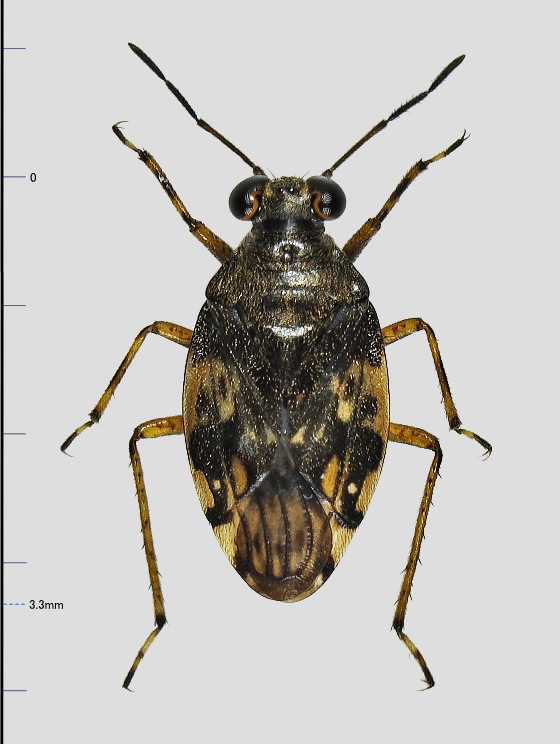
| 2023年3月18日 対馬市厳原町 |
|
2023年3月18日 対馬市厳原町産 |
| 不明種 |
|
不明種 |
|
|
|
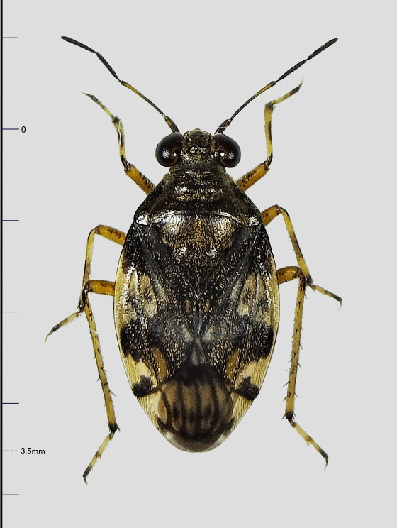
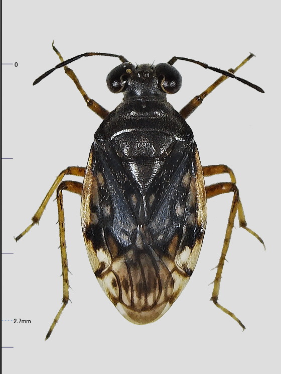
| ■2022年5月5日 対馬市厳原町 |
|
|
| コンクリートの染み出しに見られました。 |
 |
|
 |
| 2022年5月5日 対馬市厳原町 |
|
2022年5月5日 対馬市厳原町 |
| 不明種 |
|
不明種 |
 |
|
|
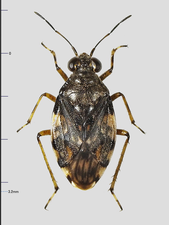
| 2022年5月5日 対馬市厳原町産 |
|
|
| 不明種 |
|
|
|
|
|
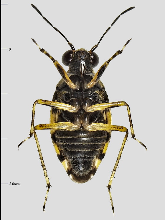
| ■2022年3月24日 対馬市厳原町 |
|
|
 |
|
 |
| 2022年3月24日 対馬市厳原町 |
|
2022年3月24日 対馬市厳原町 |
| 不明種 |
|
不明種 |
 |
|
 |
| 2022年3月24日 対馬市厳原町 |
|
2022年3月24日 対馬市厳原町産 |
| 不明種 |
|
不明種の交尾器 |
 |
|
|
| 2022年3月24日 対馬市厳原町産 |
|
|
| 不明種 |
|
|
|
|
|
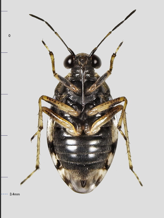
| ■2021年5月26日 対馬市厳原町 |
|
|
 |
|
 |
| 2021年5月26日 対馬市厳原町 |
|
2021年5月26日 対馬市厳原町 |
| 不明種 |
|
不明種 |
 |
|
|
| 2021年5月26日 対馬市厳原町産 |
|
|
| 不明種 |
|
|
| |
|
|
| |
|
|
| ■2021年5月5日 対馬市厳原町 |
| この属は対馬には数種生息していると思われます。 頭部正面を見たり交尾器などを抜いたりしててみましたが,なかなかやっかいで頓挫しています。 |
 |
|
 |
| 2021年5月5日 対馬市厳原町 |
|
2021年5月5日 対馬市厳原町産 |
| 不明種 |
|
不明種 |
 |
|
|
| 2021年5月5日 対馬市厳原町 |
|
|
| 不明種の生息環境 |
|
|
|
|
|
| ■2021年2月22日 対馬市厳原町 |
|
|
 |
|
|
| 2021年2月22日 対馬市厳原町産 |
|
|
| 不明種 |
|
|
|
|
|
| ■2020年11月8日 対馬市厳原町 |
|
|
| 湿岩にはコモンシジミガムシが数頭とこのミズギワカメムシが1頭のみ…。 |
 |
|
 |
| 2020年11月8日 対馬市厳原町 |
|
2020年11月8日 対馬市厳原町産 |
| 不明種 |
|
不明種 |
|
|
|
| ■2020年10月17日 対馬市厳原町 |
|
|
| かなり丹念に探して成虫1,幼虫1…。 明るい体色が印象的なミズギワカメムシ。 |
 |
|
 |
| 2020年10月17日 対馬市厳原町 |
|
2020年10月17日 対馬市厳原町 |
| 不明種 |
|
不明種 |
 |
|
|
| 2020年10月17日 対馬市厳原町産 |
|
2020年10月17日 対馬市厳原町産 |
| 不明種 |
|
不明種 |
 |
|
 |
| 2020年10月17日 対馬市厳原町 |
|
2020年10月17日 対馬市厳原町産 |
| 不明種 幼虫 |
|
不明種 幼虫 |
|
|
|
| ■2020年10月7日 対馬市上県町 |
|
|
 |
| 2020年10月7日 対馬市上県町 |
| 不明種 幼虫 |
 |
| 2020年10月7日 対馬市上県町 |
| 不明種 幼虫 |
|
|
|
| ■2020年9月28日 対馬市上対馬町 |
|
|
これまで見てきたミズギワカメムシでは一番小さな個体。化性によるものなのか,種の違いなのかは分かりません。
幼虫もいましたが,この成虫の幼虫かは不明。乾燥して腹部が変形し縮んでいます。 |
 |
|
 |
| 2020年9月28日 対馬市上対馬町産 |
|
2020年9月28日 対馬市上対馬町産 |
| 不明種 |
|
不明種 |
 |
|
|
| 2020年9月28日 対馬市上対馬町産 |
|
|
| 不明種 幼虫 |
|
|
|
|
|
| ■2020年9月25日 対馬市厳原町 |
|
|
| ミズギワカメムシの一種の幼虫。 齢数は不明です。 |
 |
|
|
| 2020年9月25日 対馬市厳原町産 |
|
|
| 不明種 若齢幼虫 |
|
|
|
|
|
| ■2020年9月18日 対馬市厳原町 |
|
|
| 中腹の湿岩でわずか3♂が得られました。 ホシミズギワカメムシだと思われますが確定できず?付きです。 |
 |
|
 |
| 2020年9月18日 対馬市厳原町 |
|
2020年9月18日 対馬市厳原町 |
| 不明種 |
|
不明種 |
 |
| 2020年9月18日 対馬市厳原町 |
| 不明種 |
 |
|
 |
| 2020年9月18日 対馬市厳原町産 |
|
2020年9月18日 対馬市厳原町産 |
| 不明種 |
|
不明種 |
 |
|
 |
| 2020年9月18日 対馬市厳原町産 |
|
2020年9月18日 対馬市厳原町産 |
| 不明種 |
|
不明種 交尾器 |
|
|
|
| ■2020年7月24日 対馬市厳原町 |
|
|
 |
|
|
| 2020年7月24日 対馬市厳原町産 |
|
|
| 不明種 |
|
|
|
|
|
| ■2020年5月28日 対馬市上県町 |
|
|
 |
| 2020年5月28日 対馬市上県町産 |
| 不明種 |
|
|
|
| ■2020年5月8日 対馬市厳原町 |
|
|
 |
|
 |
| 2020年5月8日 対馬市厳原町 |
|
2020年5月8日 対馬市厳原町産 |
| 不明種 |
|
不明種 若齢幼虫 |
 |
|
 |
| 2020年5月8日 対馬市厳原町産 |
|
2020年5月8日 対馬市厳原町産 |
| 不明種 終齢幼虫? |
|
不明種 終齢幼虫? |
 |
|
 |
| 2020年5月8日 対馬市厳原町産 |
|
2020年5月8日 対馬市厳原町産 |
| 不明種 |
|
不明種 |
 |
|
 |
| 2020年5月8日 対馬市厳原町産 |
|
2020年5月8日 対馬市厳原町産 |
| 不明種 |
|
不明種 |
 |
|
|
| 2020年5月8日 対馬市厳原町産 |
|
|
| 不明種 交尾器 |
|
|
|
|
|
| ■2020年5月4日 対馬市上対馬町 |
|
|
| 道路沿いのコンクリート法面染み出しに見られました。 |
 |
|
 |
| 2020年5月4日 対馬市上対馬町 |
|
2020年5月4日 対馬市上対馬町 |
| 不明種 |
|
不明種 |
 |
| 2020年5月4日 対馬市上対馬町 |
| 不明種 |
|
|
 |
|
 |
| 2020年5月4日 対馬市上対馬町産 |
|
2020年5月4日 対馬市上対馬町産 |
| 不明種 |
|
不明種 |
 |
|
 |
| 2020年5月4日 対馬市上対馬町産 |
|
2020年5月4日 対馬市上対馬町産 |
| 不明種 交尾器 |
|
不明種 交尾器 |
|
|
|
| ■2020年3月6日 対馬市厳原町 |
|
|
| 最高気温13℃,体感的には肌寒い一日でした。 染み出し水のある岩盤上を歩いていました。 |
 |
|
 |
| 2020年3月6日 対馬市厳原町 |
|
2020年3月6日 対馬市厳原町 |
| ホシミズギワカメムシ Saldula kurentzovi Vinokurov,1979 |
|
ホシミズギワカメムシ Saldula kurentzovi Vinokurov,1979 |
 |
|
 |
| 2020年3月6日 対馬市厳原町産 |
|
2020年3月6日 対馬市厳原町産 |
| ホシミズギワカメムシ Saldula kurentzovi Vinokurov,1979 |
|
ホシミズギワカメムシ Saldula kurentzovi Vinokurov,1979 |
|
|
|
| ■2019年5月5日 対馬市厳原町 |
|
|
道路沿いの水の染み出る岩盤で見つけました。
「石川県のミズギワカメムシ科(ホシザキグリーン財団研究報告 第22号:215-222,渡部晃平・林正美,2019)」の中に,それらしき種がありました。 |
 |
|
 |
| 2019年5月5日 対馬市厳原町産 |
|
2019年5月5日 対馬市厳原町産 |
| ホシミズギワカメムシ Saldula kurentzovi Vinokurov,1979 |
|
ホシミズギワカメムシ Saldula kurentzovi Vinokurov,1979 |
 |
|
|
| 2019年5月5日 対馬市厳原町 |
|
|
| ホシミズギワカメムシの生息環境 Saldula kurentzovi Vinokurov,1979 |
|
|
|
|
|
| ■2018年10月29日 対馬市厳原町 |
| 黒い幼虫。 何者だろう? |
 |
| 2018年10月29日 対馬市厳原町 |
 |
| 2018年10月29日 対馬市厳原町 |
 |
|
|
| 2018年10月29日 対馬市厳原町 |
|
|
| |
|
|
| |
|
|
| |
|
|
| |
|
|